Inzwischen haben wir die schönsten Ankerbuchten der Westküste besucht und ausgiebig davon Gebrauch gemacht, dass wir wieder ankern können, da Michele die defekte Winsch reparieren konnte. Natürlich haben wir uns auch die Hauptstadt Fort-de-France angeschaut. Hier bekamen wir Besuch von meinen Eltern. Gemeinsam fuhren wir in den Garten „Jardin de Balata“, wo es eine Vielzahl an Blumen, Pflanzen, Palmen und auch Kolibris zu bestaunen gibt. Ein echtes Highlight war der Baumwipfelpfad, von dem aus sich ein schöner Blick über die Gartenanlage bietet.



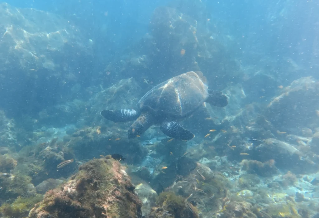
Bei dem hier herrschenden warmen Klima und einer Temperatur von meist 28°C ist eine Abkühlung im Meer sehr willkommen. Das klare, meist wellenarme Wasser der Westküste und die vielen bunten Fische an den Korallenriffen machen diese Buchten zu einem idealen Ziel für Schnorchler. Inzwischen besitzen wir eine Unterwasserkamera, so dass wir nun unsere Eindrücke festhalten können. Besonders schön war das Schnorcheln in Petite Anse d’Arlet, Anse Dufour und Anse Noir. Hier kann man mit etwas Glück auch Schildkröten sehen.




Je nördlicher wir kamen, desto häufiger prasselten starke Regengüsse auf die Insel herunter. In St. Pierre sind wir deswegen nur kurz geblieben, ehe wir uns wieder in Richtung Süden aufmachten. Während der Fahrt wurden wir klitschnass und dann fiel auch noch der Windsensor aus. Für die restliche Strecke ging es ohne, aber in der nächsten Marina mussten wir das Thema angehen.

Beim Aufstieg auf den Mast wurde deutlich, dass eine Knickbeschädigung im Kabel am Windsensor vorlag. Wir mussten also ein neues Datenkabel auftreiben. Nach einer einstündigen Fahrt mit dem Bus zu einem Marine-Ausrüster bekamen wir ein neues Kabel, was jedoch mit 30 m viel zu lang war. Egal, Hauptsache, es funktioniert wieder. Also angeklebt und mittels des alten Kabels durch den Mast hindurchgezogen. Der frühere Verbindungsstecker lag außerhalb des Schiffs. Somit konnte Michele den Stecker nun im Inneren des Schiffes verlegen. Es war etwas umständlich, das 5-adrige Kabel an beiden Enden erneut zu klemmen. Am Ende hat es dann aber geklappt und der Windsensor liefert wieder Daten.


Nach zwei sehr schönen Wochen mit meinen Eltern kam die Zeit, sich wieder zu verabschieden. Auch wir verabschieden uns nach etwas mehr als fünf Wochen von Martinique. Unser nächstes Reiseziel ist St. Lucia.